加拿大西海岸外海的一座水下火山有可能在2025年喷发。

(Dr. Bill Chadwick, OSU)
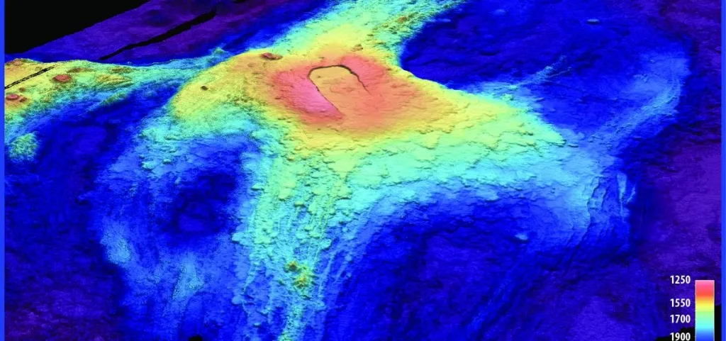
根据天气网的报道,这坐名为轴海山(Axial Seamount )是一座年轻的大火山,位于太平洋底部,距俄勒冈海岸以西约 480 公里处。

自 1970 年被发现以来,这座火山已成为世界上第一个水下观测站的所在地,为研究人员更好地了解火山活动提供了重要信息。
轴海山位于胡安德富卡板块上。

(美国国家海洋和大气管理局)
轴海山也是西北太平洋地区最活跃的海底火山,自首次发现以来已喷发多次。最近一次喷发发生在 2015 年 4 月,导致数千次水下地震被探测到,周围海底下沉约 2 米。
现在有迹象表明,2025 年底之前将发生另一次喷发。

(谷歌地图)
俄勒冈州立大学的比尔·查德威克(Bill Chadwick)和北卡罗来纳大学威尔明顿分校的斯科特·努纳(Scott Nooner)为俄勒冈州立大学撰写的专门监测轴心海山的博客中表示,这座火山正在以越来越快的速度膨胀。
截至 2024 年 10 月 26 日的最新博文,火山口已完全重新膨胀到 2015 年火山爆发时的临界点。
整个 2024 年,火山周围的地震次数也急剧增加,每天都能检测到数百次地震。
火山爆发不太可能对陆地上的人们造成任何影响,但它将为研究人员收集火山爆发数据提供一个绝佳的机会。
帖子中还强调,2025 年的火山爆发并不是绝对确定的。与天气预报类似,有许多因素在起作用,这些因素总是在以意想不到的方式发生变化。
